Surprise Me!

Los huracanes más poderosos de los últimos 25 años en el Caribe

2017-09-07 94 Dailymotion

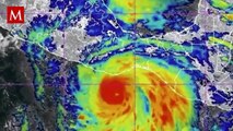
Miles de millones en pérdidas, cientos de miles de afectados, así como miles de muertos han quedado registrados en diferentes catástrofes en las últimas décadas en los países que se sitúan en el Centro, Caribe y Norteamérica, debido a poderosos huracanes.